LOVREČICA, GRADBENO ZEMLJIŠČE DRUGA VRSTA OD MORJA

Velikost parcele

705 m2

Umag, Lovrečica
650.000 €
922 €/m2

OPIS NEPREMIČNINE

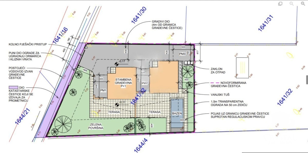
Ta gradbeni parceli, ki se nahaja le 50 korakov od morja, predstavlja izjemno priložnost! Površina parcele znaša več kot 700 m² in se nahaja 50 metrov od obale. Voda in elektrika sta na voljo v bližini, poleg tega pa je na voljo tudi idejni projekt za gradnjo družinske hiše s skupno površino več kot 300 m² in bazenom. Parcela je idealna za gradnjo lastne počitniške hiše ali kot naložba za turistični najem.

Prekrasna lokalna plaža, odprto morje, kakovostni restavracije, kavarnice, dolga sprehajalna pot, otroško igrišče in kolesarske steze so le nekaj korakov stran. V bližini so tudi vsi drugi potrebni sadržaji za miren življenjski slog ali sprostitev.

Center Umaga je oddaljen le 5 minut vožnje z avtom, center Novigrada 10 minut vožnje, vodni park Istralandia pa prav tako 10 minut vožnje.

  • REI ID : 66823
  • Notranji ID agencije : 1467
  • Datum objave : 18.09.2024.
  • Datum posodobitve : 16.09.2024.
  • Število ogledov : 1208
  • Prijavite oglas

Vsi podatki in slike na teh spletnih straneh so zgolj informativne narave, pred kakršnim koli zaključkom ali aktivnostjo na podlagi podatkov s teh strani je potrebno vse informacije preveriti pri oglaševalcu.

OBRNITE SE NA AGENTA